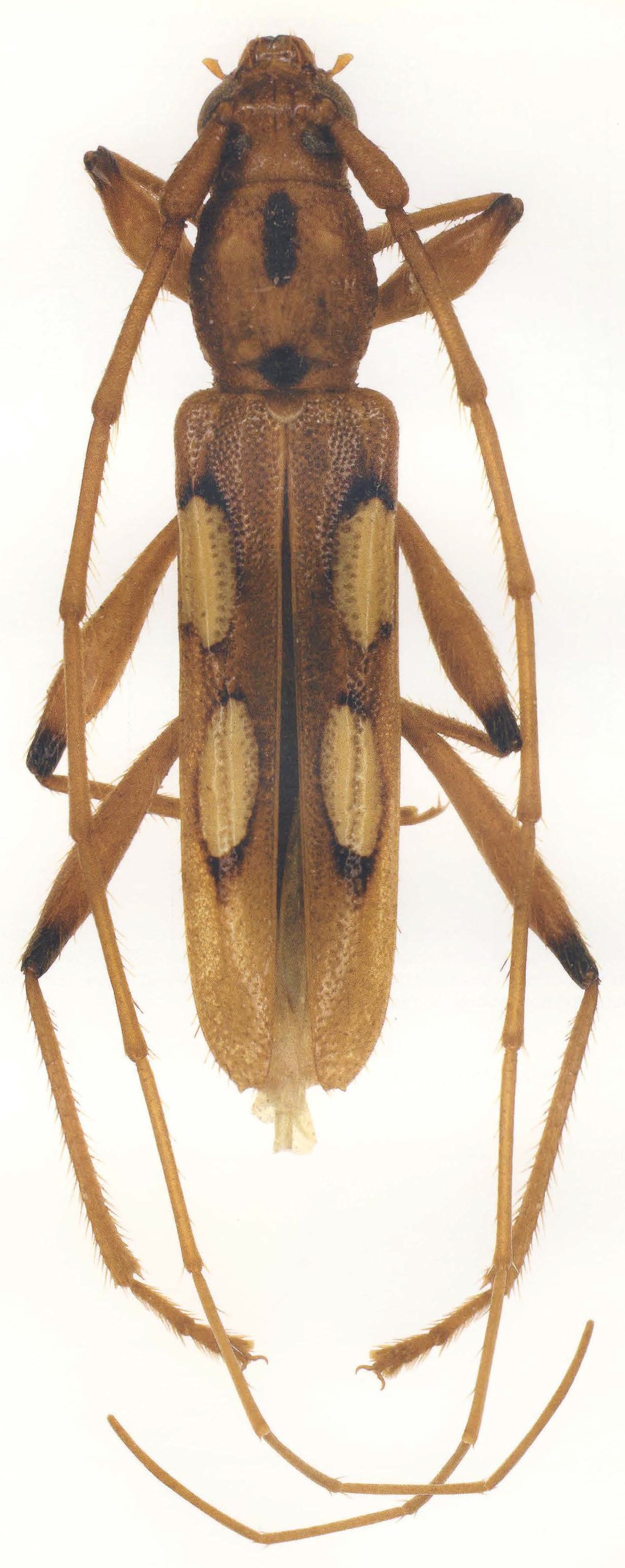
_BMNH_Pocitos_Salta_Argentina_LGB.jpg)
Institution: BMNH British Museum Natural History, London, UK Photographer: Larry G. Bezark Collection Location: Pocitos, Salta, Argentina 46673
|
_SA_Suppl_1.jpg)
Determiner: S American Cerambycidae Supplement 1 55586
|
_Bolivia_Wappes_Photo.jpg)
Photographer: Jim Wappes Collection Location: Bolivia 7141
|
_CAS.jpg)
Institution: CAS California Academy of Sciences, San Francisco, CA, USA Photographer: Larry G. Bezark 7142
|
_Burmeister_JAC_=_Ectenessa.jpg)
Eurymerus quadriguttata Burmeister Photographer: John Chemsak 16602
|
|