 Klug ZMB Brazil now Recchia Thorleif Dorfel pic.jpg)
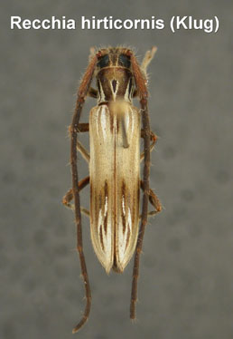
Saperda hirticornis Klug Specimen Type: lectotype Sex: f Institution: ZMHB Museum für Naturkunde der Humboldt-Universität, Berlin, Germany Photographer: Thorleif Dorfel Collection Location: Brazil 91051
|
 Klug ZMB Brazil now Recchia Thorleif Dorfel pic.jpg)
Saperda hirticornis Klug Specimen Type: lectotype Sex: f Institution: ZMHB Museum für Naturkunde der Humboldt-Universität, Berlin, Germany Photographer: Thorleif Dorfel Collection Location: Brazil 91502
|
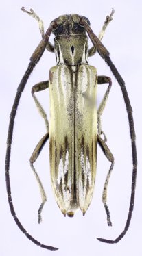
 Klug ZMB Brazil now Recchia Thorleif Dorfel pic.jpg)
Saperda hirticornis Klug Specimen Type: paralectotype Sex: f Institution: ZMHB Museum für Naturkunde der Humboldt-Universität, Berlin, Germany Photographer: Thorleif Dorfel Collection Location: Brazil 91503
|

Saperda hirticornis Klug 23820
|
 Brochado, Minas Gerais, Brazil LGBC.jpg)
Institution: LGBC Larry G. Bezark Collection, Sacramento, California, USA Photographer: Larry G. Bezark Collection Location: Brochado, Minas Gerais, Brazil 96125
|
 Brochado, Minas Gerais, Brazil LGBC.jpg)
Institution: LGBC Larry G. Bezark Collection, Sacramento, California, USA Photographer: Larry G. Bezark Collection Location: Brochado, Minas Gerais, Brazil 96126
|
_Bolivia_Wappes_Photo.jpg)
Photographer: Jim Wappes Collection Location: Bolivia 12937
|
_Det_Chemsak_Corupa_Brazil_UCB_100047.jpg)
Institution: UCB Essig Museum of Entomology, Berkeley, California, USA Photographer: Larry G. Bezark Determiner: Chemsak Collection Location: Corupa, Brazil 12938
|
_Paraguay_Dep_Alto_Parana_Mehl.jpg)
Photographer: Ole Mehl Collection Location: Department Alto Parana, Paraguay 36899
|
_AM_Hodson.jpg)
Photographer: Alicia M. Hodson 42515
|