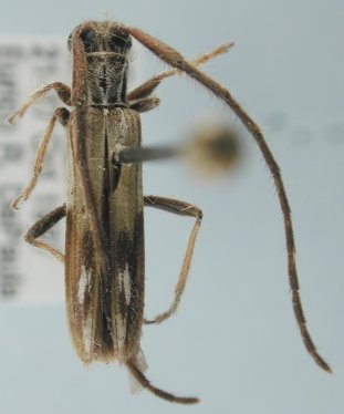
_Martins_and_Galileo_MZSP_SWL.jpg)
Specimen Type: holotype Institution: MZSP Museu de Zoologia da Universidade de São Paulo, Brazil Photographer: Steve Lingafelter 12932
|
.jpg)
Specimen Type: paratype 12933
|

Institution: LGBC Larry G. Bezark Collection, Sacramento, California, USA Photographer: Larry G. Bezark Collection Location: Minas Gerais, Brazil 36898
|
|