_Bates_BMNH_Cordoba_VC_Mex_LGB.jpg)
Specimen Type: lectotype Sex: m Institution: BMNH British Museum Natural History, London, UK Photographer: Larry G. Bezark Collection Location: Cordoba, Veracruz, Mexico 46672
|
 Bates BMNH Cordova, Veracruz, Mexico KM.jpg)
Specimen Type: lectotype Sex: m Institution: BMNH British Museum Natural History, London, UK Photographer: Keita Matsumoto Collection Location: Cordova, Veracruz, Mexico 77506
|
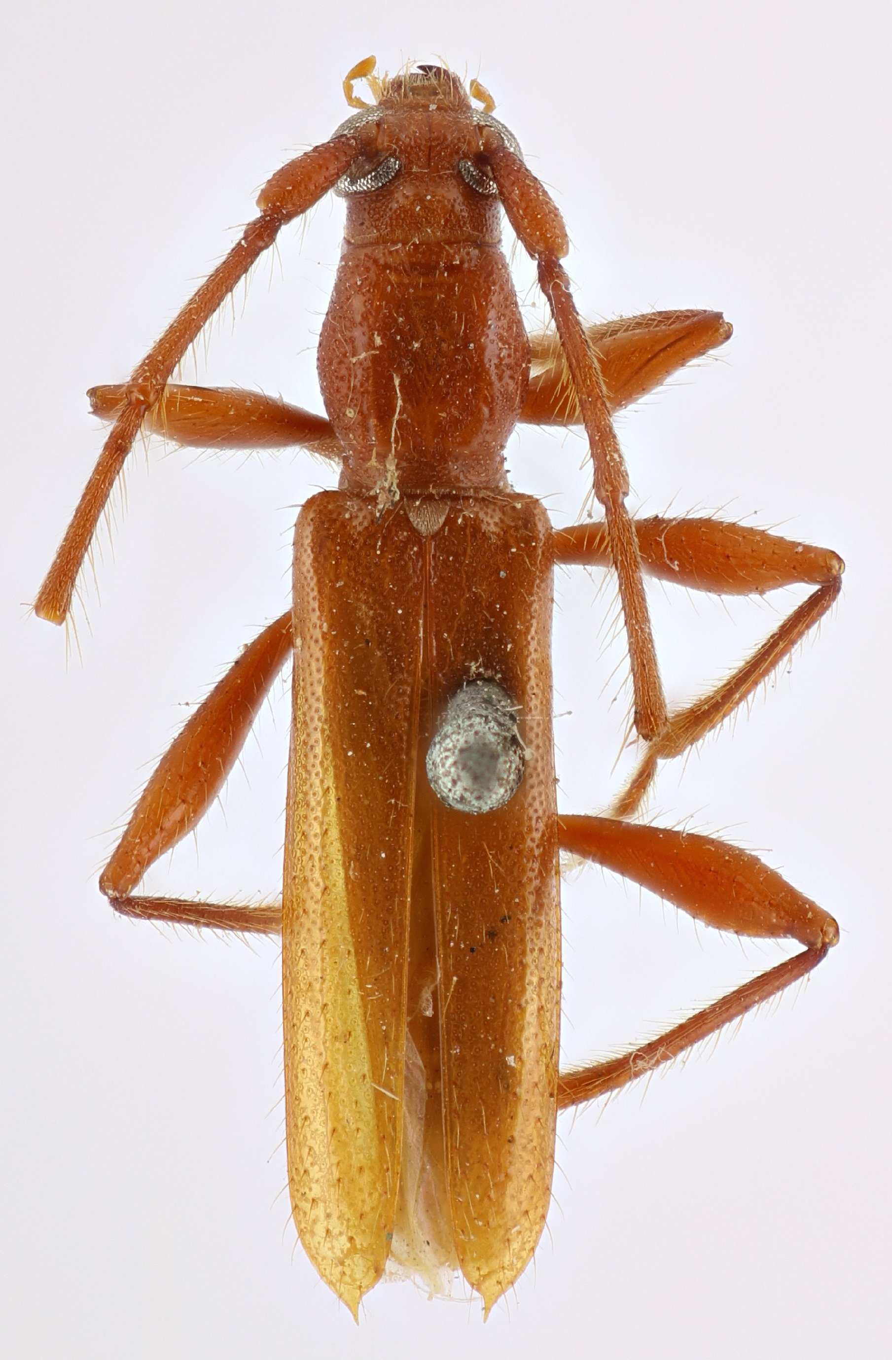
_(m)_Bates_BMNH_JAC.jpg)
Specimen Type: lectotype Sex: m Institution: BMNH British Museum Natural History, London, UK Photographer: John Chemsak Collection Location: Córdoba, Veracruz-Llave, Mexico 16243
|
 Bates BMNH Mexico KM.jpg)
Specimen Type: paralectotype Institution: BMNH British Museum Natural History, London, UK Photographer: Keita Matsumoto Collection Location: Cordova, Veracruz, Mexico 77507
|
.jpg)
7135
|

Institution: BCA Biologia Centrali Americana 7137
|
|