 Lacordaire BMNH Santa Catarina, Brazil now thomsoni Moure.jpg)
Phaula sticticus Lacordaire Specimen Type: holotype Institution: BMNH British Museum Natural History, London, UK Photographer: JS Moure Collection Location: Santa Catarina, Brazil 100413
|

Photographer: Jim Wappes Collection Location: Bolivia 12033
|

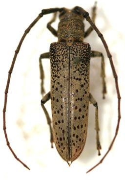
Institution: UCB Essig Museum of Entomology, Berkeley, California, USA Photographer: Larry G. Bezark Determiner: Fragoso Collection Location: Brazil 12034
|

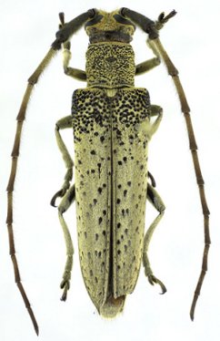
Institution: MZSP Museu de Zoologia da Universidade de São Paulo, Brazil Photographer: Steve Lingafelter Determiner: Martins Collection Location: Bolivia 12035
|

Photographer: Ole Mehl Collection Location: Department Concepcion, Paraguay 36876
|

Photographer: Alicia M. Hodson 42422
|