_Lane_CMNH.jpg)
Specimen Type: holotype Institution: CMNH Carnegie Museum of Natural History, Pittsburgh, PA, USA Photographer: Steve Lingafelter 23963
|
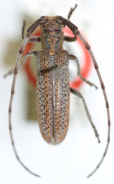
_Lane_Bolivia_Wappes_Photo.jpg)
Specimen Type: holotype Institution: CMNH Carnegie Museum of Natural History, Pittsburgh, PA, USA Photographer: Jim Wappes Collection Location: Bolivia 8497
|