 Gounelle MNHN Condeuba, Bahia, Brazil now Ectenessa Moure.jpg)
Eurymerus fenestratus Gounelle Specimen Type: syntype Institution: MNHN Museum of Natural History Paris, France Photographer: JS Moure Collection Location: Condeuba, Bahia, Brazil 101797
|
 Gounelle MNHN Condeuba, Bahia, Brazil now Ectenessa Moure.jpg)
Eurymerus fenestratus Gounelle Specimen Type: syntype Institution: MNHN Museum of Natural History Paris, France Photographer: JS Moure Collection Location: Condeuba, Bahia, Brazil 101798
|
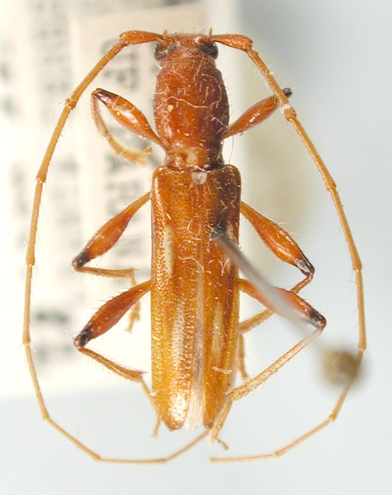
_Zajciw_MNRJ_SWL_=_Ectenessa_fenestrata_(Gounelle).jpg)
Eurymerus quadrimaculata Zajciw Specimen Type: holotype Sex: m Institution: MNRJ Museu Nacional Universidade do Rio Janeiro, Brazil Photographer: Steve Lingafelter Collection Location: Córrego do Itá [Barra do São Francisco], Espirito Santo, Brazil 7832
|
 Santa Teresa, Espirito Santo, Brazil det Napp JCPC LGB.jpg)
Institution: JCPC Jim Cope Collection, San Jose, California, USA now at CSCA, Sacramento Photographer: Larry G. Bezark Determiner: Dilma Napp Collection Location: Santa Teresa, Espirito Santo, Brazil 16242
|
|