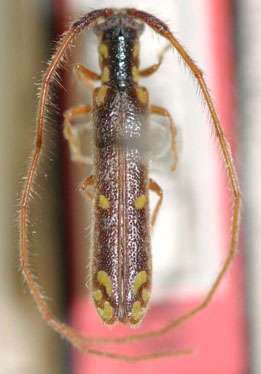
_Martins_and_Galileo_MNRJ_SWL.jpg)
Specimen Type: holotype Institution: MNRJ Museu Nacional Universidade do Rio Janeiro, Brazil Photographer: Steve Lingafelter 4647
|
_Martins_and_Galileo_MZSP_SWL_type_is_at_MNRJ_what_is_this.jpg)
Specimen Type: paratype Institution: MZSP Museu de Zoologia da Universidade de São Paulo, Brazil Photographer: Steve Lingafelter 4648
|