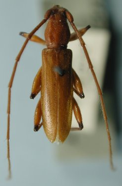
 Belon MNHN Uberaba, Minas Gerais, Brazil Moure.jpg)
Specimen Type: holotype Sex: f Institution: MNHN Museum of Natural History Paris, France Photographer: JS Moure Collection Location: Uberaba, Minas Gerais, Brazil 101761
|

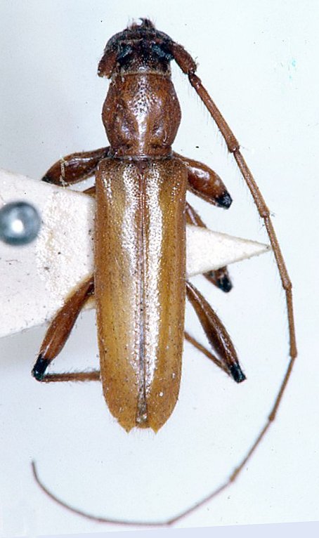
Institution: BMNH British Museum Natural History, London, UK Photographer: Larry G. Bezark Collection Location: Jatai, Goias, Brazil 46671
|