_Lane_AMNH_Compostela_Nayarit_Mexico.jpg)
Specimen Type: holotype Sex: f Institution: AMNH American Museum of Natural History, New York, NY, USA Collection Location: Compostela, Nayarit, Mexico 27686
|
_(f)_Lane_AMNH_JAC.jpg)
Specimen Type: holotype Sex: f Institution: AMNH American Museum of Natural History, New York, NY, USA Photographer: John Chemsak Collection Location: Compostela, Nayarit, Mexico 15274
|
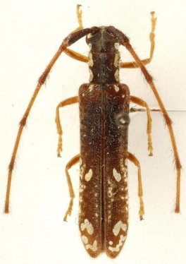
_Lane_AMNH.jpg)
Specimen Type: holotype Sex: f Institution: AMNH American Museum of Natural History, New York, NY, USA Collection Location: Compostela, Nayarit, Mexico 4631
|
_Lane_MZSP_SWL.jpg)
Specimen Type: paratype Institution: MZSP Museu de Zoologia da Universidade de São Paulo, Brazil Photographer: Steve Lingafelter 4632
|
|