New Search Family, Subfamily and Tribe List

SubFamily Lamiinae

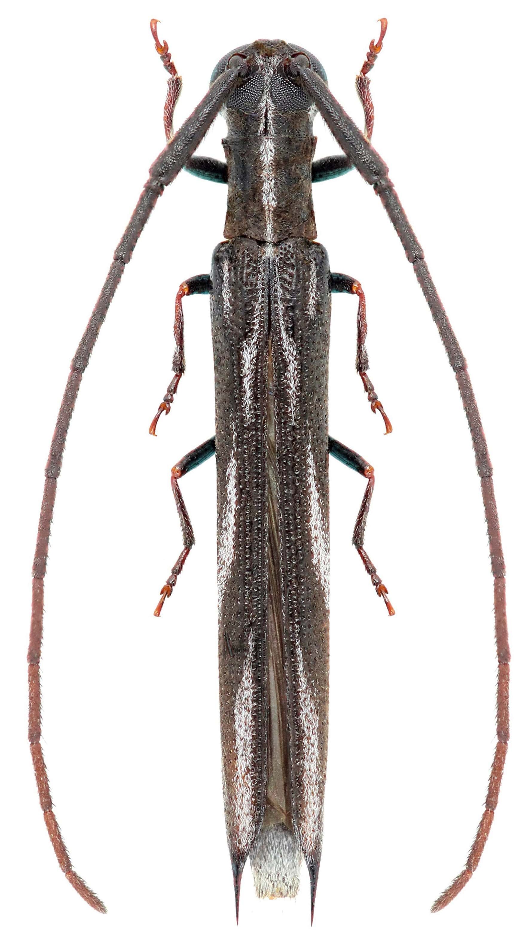
Tribe Aerenicini
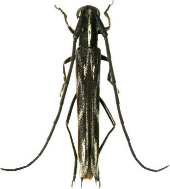
Aerenicopsis pugnatrix (Lane, 1966)

Hydraschemopsis pugnatrix Lane
Specimen Type: paratype
Institution: BMNH British Museum Natural History, London, UK
Photographer: Steve Lingafelter
8560


Photographer: Frédéric Robin
Collection Location: Montagne de Chevaux, Roura, French Guiana
77944


Photographer: Odette Morvan
Collection Location: French Guiana
39963


Photographer: Jean-Louis Giuglaris
Collection Location: Tonate, French Guiana
28566


4024


Photographer: Jim Wappes
Collection Location: Bolivia
4025

130425