New Search Family, Subfamily and Tribe List

SubFamily Cerambycinae

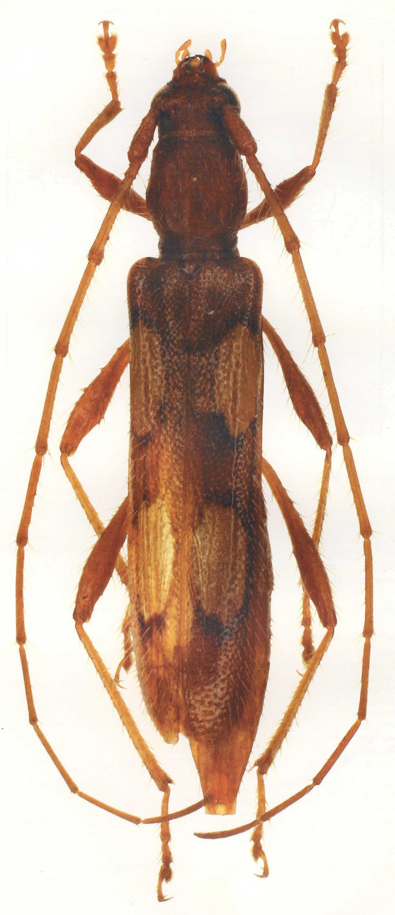
Tribe Ectenessini
Ectenessa andrei Martins & Galileo 1996

21303


Determiner: S American Cerambycidae Supplement 1
55585

130425