_SA_Suppl_1.jpg)
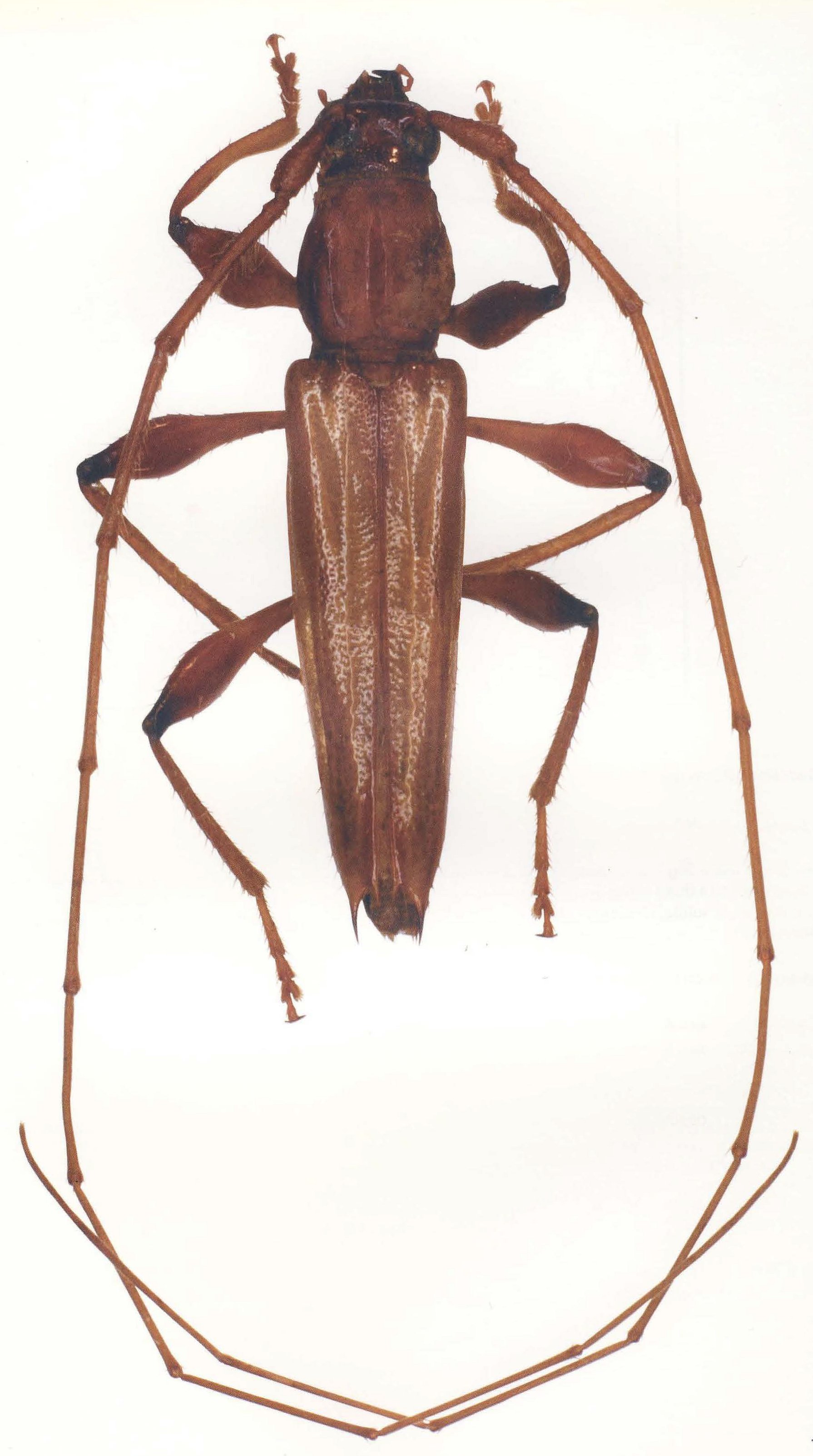
Ectenessa quadrispinosa Melzer Specimen Type: syntype Institution: MZSP Museu de Zoologia da Universidade de São Paulo, Brazil Determiner: South American Cerambycidae Supplement 1 Collection Location: Alfonso Cláudio, Guandú, Fazenda Jerusalem, Espirito Santo, Brazil 20284
|
_Melzer_JAC_=_Acanthonessa_quadrispinosa.jpg)
Ectenessa quadrispinosa Melzer Specimen Type: syntype Photographer: John Chemsak Collection Location: Alfonso Cláudio, Guandú, Fazenda Jerusalem, Espirito Santo, Brazil 16244
|