_Chemsak_Playa_Hermosa_Guanacaste_Costa_Rica_UCB.jpg)
Specimen Type: holotype Institution: UCB Essig Museum of Entomology, Berkeley, California, USA Photographer: Larry G. Bezark Collection Location: Playa Hermosa, Guanacaste, Costa Rica 18118
|
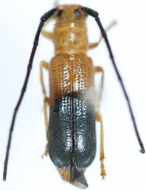
_Chemsak_Playa_Hermosa_Guanacaste_Costa_Rica_UCB.jpg)
Specimen Type: allotype Institution: UCB Essig Museum of Entomology, Berkeley, California, USA Photographer: Larry G. Bezark Collection Location: Playa Hermosa, Guanacaste, Costa Rica 18117
|