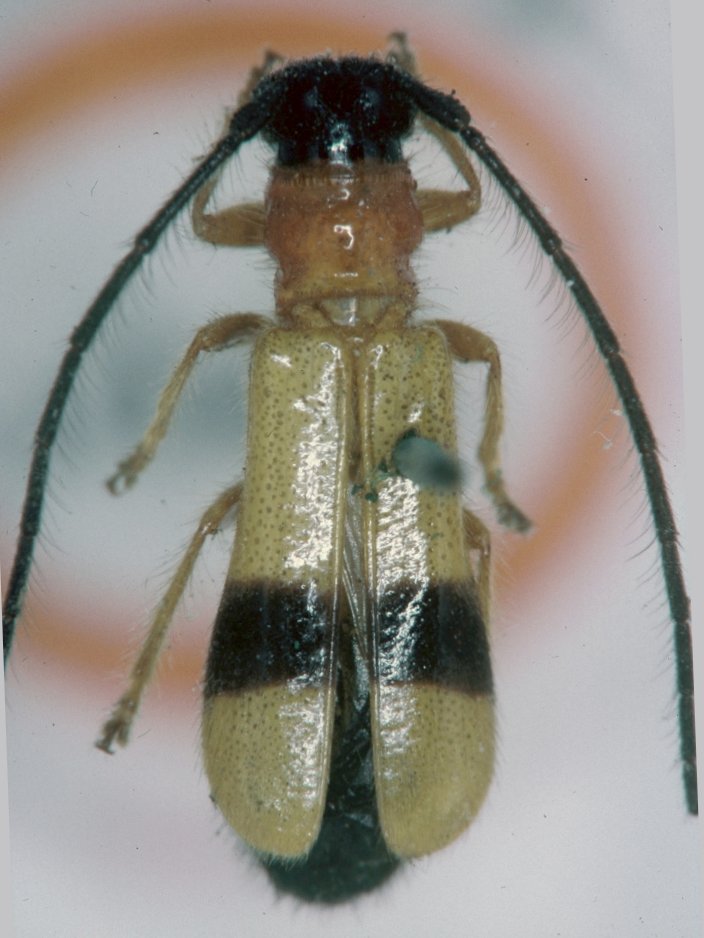
_Pascoe_BMNH_Santa_Marta_Magdalena_Colombia_Helena Maratheftis.jpg)
Specimen Type: holotype Institution: BMNH British Museum Natural History, London, UK Photographer: Helena Maratheftis Collection Location: Santa Marta, Magdalena, Colombia 65277
|
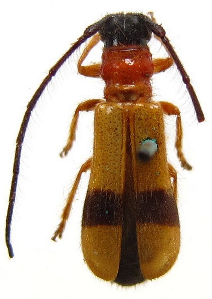
_Pascoe_BMNH_Santa_Marta_Magdalena_Colombia_Helena Maratheftis.jpg)
Specimen Type: holotype Institution: BMNH British Museum Natural History, London, UK Photographer: Helena Maratheftis Collection Location: Santa Marta, Magdalena, Colombia 65278
|
 Pascoe BMNH Santa Marta, Magdalena, Colombia Moure.jpg)
Specimen Type: holotype Institution: BMNH British Museum Natural History, London, UK Photographer: JS Moure Collection Location: Santa Marta, Magdalena, Colombia 30857
|

11931
|
|