_Chemsak_Monteverde_Puntarenas_Costa_Rica_UCB.jpg)
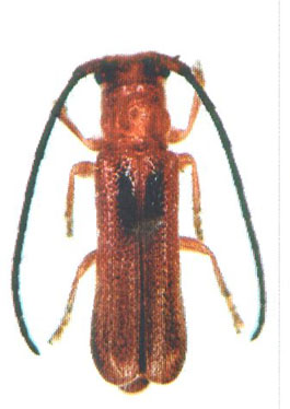
Specimen Type: holotype Institution: UCB Essig Museum of Entomology, Berkeley, California, USA Photographer: Larry G. Bezark Collection Location: Monteverde, Puntarenas, Costa Rica 18107
|
_Chemsak_Monteverde_Puntarenas_Costa_Rica_UCB.jpg)
Specimen Type: allotype Institution: UCB Essig Museum of Entomology, Berkeley, California, USA Photographer: Larry G. Bezark Collection Location: Monteverde, Puntarenas, Costa Rica 18106
|