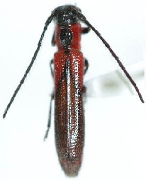
_Chemsak_4mi_SW_Comayagua_Honduras_UCB.jpg)
Specimen Type: holotype Institution: UCB Essig Museum of Entomology, Berkeley, California, USA Photographer: Larry G. Bezark Collection Location: 4mi SW Comayagua, Honduras 18103
|

Photographer: Steve Lingafelter Collection Location: Nicaragua 26333
|
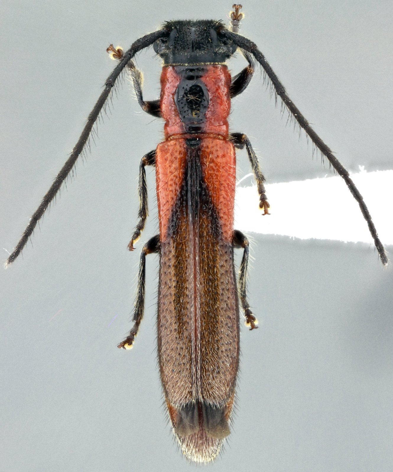
_Chemsak_DJH_Reserva_Silvestre_Domitila_Granada_Nicaragua_SS.jpg)
Sex: f Institution: Heffern Collection Photographer: Antonio Santos-Silva Collection Location: Reserva Silvestre, Domitila, Granada, Nicaragua 67268
|
_Chemsak_DJH_Reserva_Silvestre_Domitila_Granada_Nicaragua_SS.jpg)
Sex: f Institution: Heffern Collection Photographer: Antonio Santos-Silva Collection Location: Reserva Silvestre, Domitila, Granada, Nicaragua 67269
|
_Chemsak_DJH_Reserva_Silvestre_Domitila_Granada_Nicaragua_SS.jpg)
Sex: f Institution: Heffern Collection Photographer: Antonio Santos-Silva Collection Location: Reserva Silvestre, Domitila, Granada, Nicaragua 67270
|
_Chemsak_DJH_Reserva_Silvestre_Domitila_Granada_Nicaragua_SS.jpg)
Sex: f Institution: Heffern Collection Photographer: Antonio Santos-Silva Collection Location: Reserva Silvestre, Domitila, Granada, Nicaragua 67271
|
|