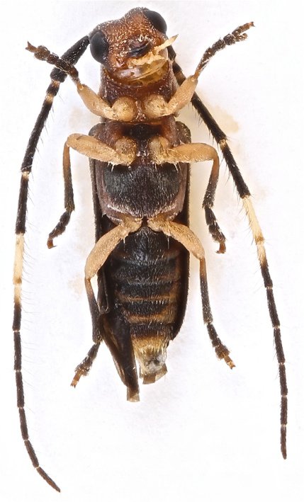
 Audureau MNHN Matiti, French Guiana.jpg)
Specimen Type: holotype Sex: m Institution: MNHN Museum of Natural History Paris, France Photographer: Alain Audureau Collection Location: Matiti, French Guiana 98672
|
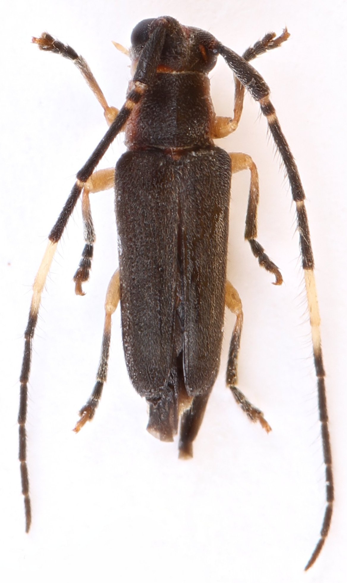
 Audureau MNHN Matiti, French Guiana.jpg)
Specimen Type: holotype Sex: m Institution: MNHN Museum of Natural History Paris, France Photographer: Alain Audureau Collection Location: Matiti, French Guiana 98673
|