 Ferreira Mermudes MCNZ Hotel FF 5km SSE Buena Vista, SC Bolivia GF.jpg)
Specimen Type: holotype Sex: m Institution: MCNZ Museu de Ciencas Naturais, Fundacao Zoobotanica do Rio Grande do Sul, Brazil Photographer: Gabriel Ferreira Collection Location: Hotel Flora & Fauna, 5km SSE Buena Vista, Santa Cruz Bolivia 98659
|
 Ferreira Mermudes MCNZ Hotel FF 5km SSE Buena Vista, SC.jpg)
Specimen Type: holotype Sex: m Institution: MCNZ Museu de Ciencas Naturais, Fundacao Zoobotanica do Rio Grande do Sul, Brazil Photographer: Gabriel Ferreira Collection Location: Hotel Flora & Fauna, 5km SSE Buena Vista, Santa Cruz Bolivia 98660
|
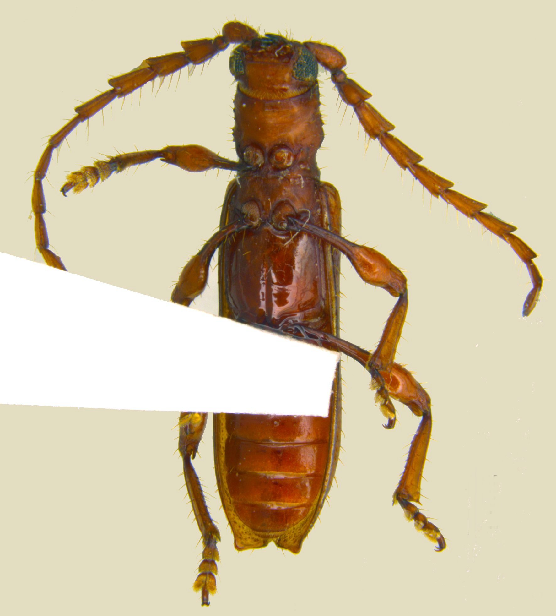
 Ferreira Mermudes MCNZ Hotel FF 5km SSE Buena Vista, SC.jpg)
Specimen Type: holotype Sex: m Institution: MCNZ Museu de Ciencas Naturais, Fundacao Zoobotanica do Rio Grande do Sul, Brazil Photographer: Gabriel Ferreira Collection Location: Hotel Flora & Fauna, 5km SSE Buena Vista, Santa Cruz Bolivia 98661
|
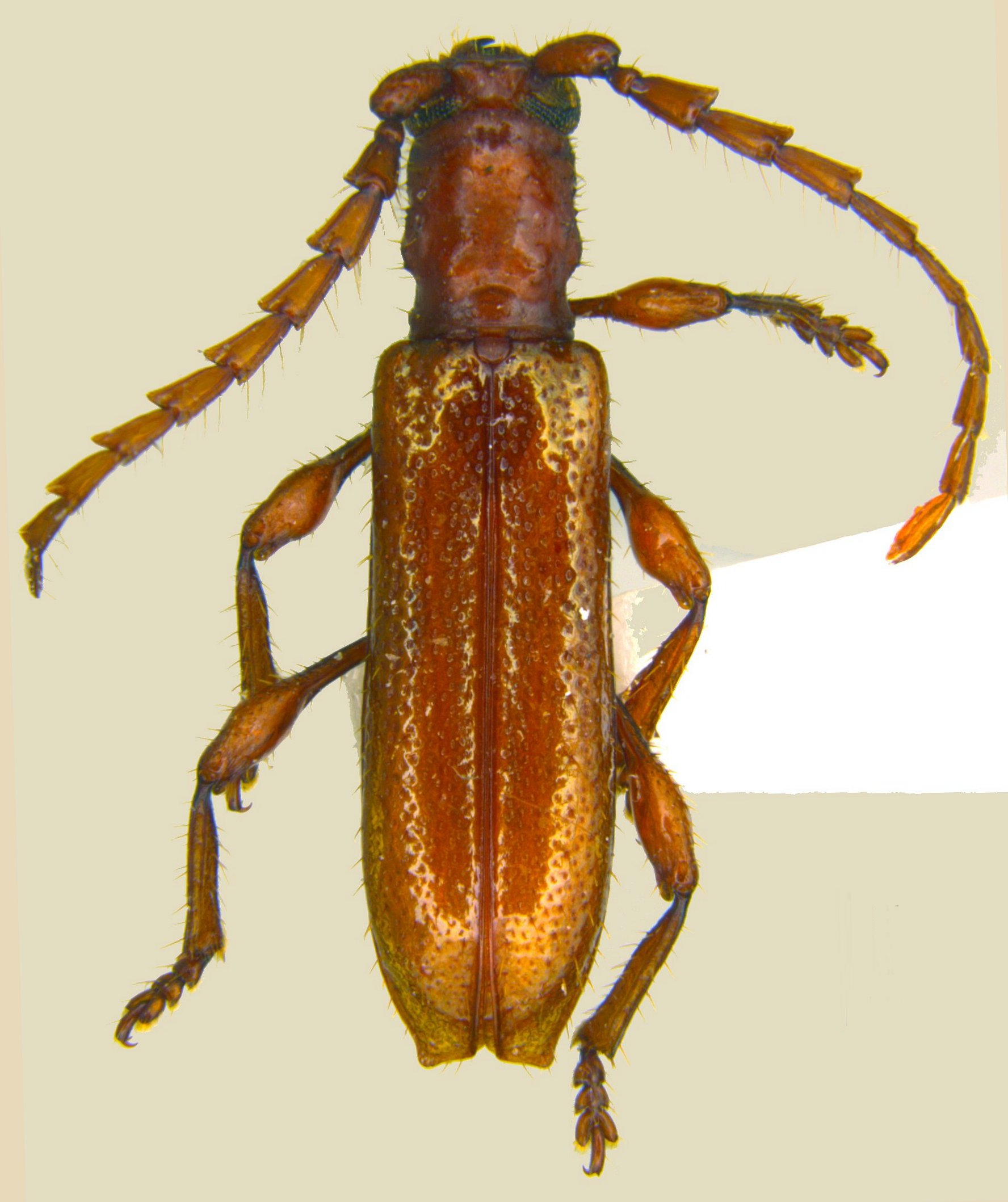
 Ferreira Mermudes MCNZ Hotel FF 5km SSE Buena Vista, SC.jpg)
Specimen Type: holotype Sex: m Institution: MCNZ Museu de Ciencas Naturais, Fundacao Zoobotanica do Rio Grande do Sul, Brazil Photographer: Gabriel Ferreira Collection Location: Hotel Flora & Fauna, 5km SSE Buena Vista, Santa Cruz Bolivia 98662
|
 Ferreira Mermudes MCNZ Hotel FF 5km SSE Buena Vista, SC.jpg)
Specimen Type: holotype Sex: m Institution: MCNZ Museu de Ciencas Naturais, Fundacao Zoobotanica do Rio Grande do Sul, Brazil Photographer: Gabriel Ferreira Collection Location: Hotel Flora & Fauna, 5km SSE Buena Vista, Santa Cruz Bolivia 98663
|
|