New Search Family, Subfamily and Tribe List

SubFamily Lamiinae

Tribe Saperdini
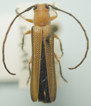
Oberea gracilis (Fabricius, 1801)

Institution: FSCA Florida State Collection of Arthropods, Gainesville, FL, USA
Photographer: Mike Thomas
2224


Photographer: Larry G. Bezark
2225

130425