New Search Family, Subfamily and Tribe List

SubFamily Lamiinae

Tribe Saperdini
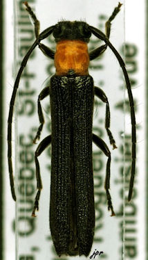
Oberea affinis Dejean 1835

Sex: m
Photographer: JP Roguet, https://lamiinae.org
Collection Location: Quebec, Saint-Paulin Chemin des Tremble, Canada
29786


Sex: f
Photographer: JP Roguet, https://lamiinae.org
29787


Photographer: Larry G. Bezark
2209

130425