_Casey_NMNH_Indiana_now_trident_SWL.jpg)
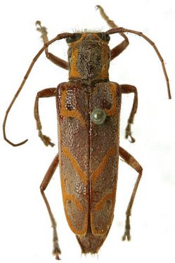
Saperda tridentata trifasciata Casey Specimen Type: holotype Institution: NMNH United States National Museum, Washington, DC, USA Photographer: Steve Lingafelter Collection Location: Indiana 40197
|
_Casey_NMNH_Indiana_now_trident_SWL.jpg)
Saperda tridentata trifasciata Casey Specimen Type: holotype Institution: NMNH United States National Museum, Washington, DC, USA Photographer: Steve Lingafelter Collection Location: Indiana 40198
|

Institution: FSCA Florida State Collection of Arthropods, Gainesville, FL, USA Photographer: Mike Thomas 2790
|

Photographer: Larry G. Bezark 2791
|
|