_Schiefer_TAMU_BatonRouge_E_Baton_Rouge_Parish_LA.jpg)
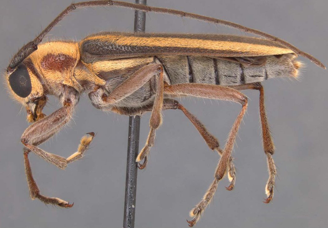
Specimen Type: holotype Sex: m Institution: TAMU Texas A & M University, College Station, Texas, USA Collection Location: Baton Rouge, Eastern Baton Rouge Parish, Louisiana 32651
|
_Schiefer_TAMU_BatonRouge_E_Baton_Rouge_Parish_LA.jpg)
Specimen Type: holotype Sex: m Institution: TAMU Texas A & M University, College Station, Texas, USA Collection Location: Baton Rouge, Eastern Baton Rouge Parish, Louisiana 32652
|