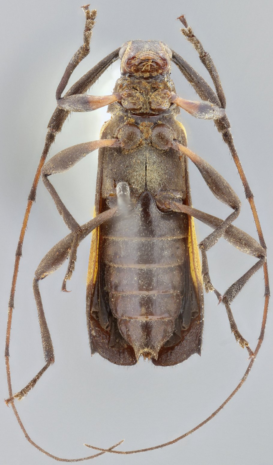
_Bates_MNHN_FTH.jpg)
Sparna platyptera Bates Specimen Type: holotype Institution: MNHN Museum of Natural History Paris, France Collection Location: Brazil (Parana) 18506
|

Institution: CAS California Academy of Sciences, San Francisco, CA, USA Photographer: Larry G. Bezark 13280
|

Institution: BMNH British Museum Natural History, London, UK Photographer: Larry G. Bezark 46478
|
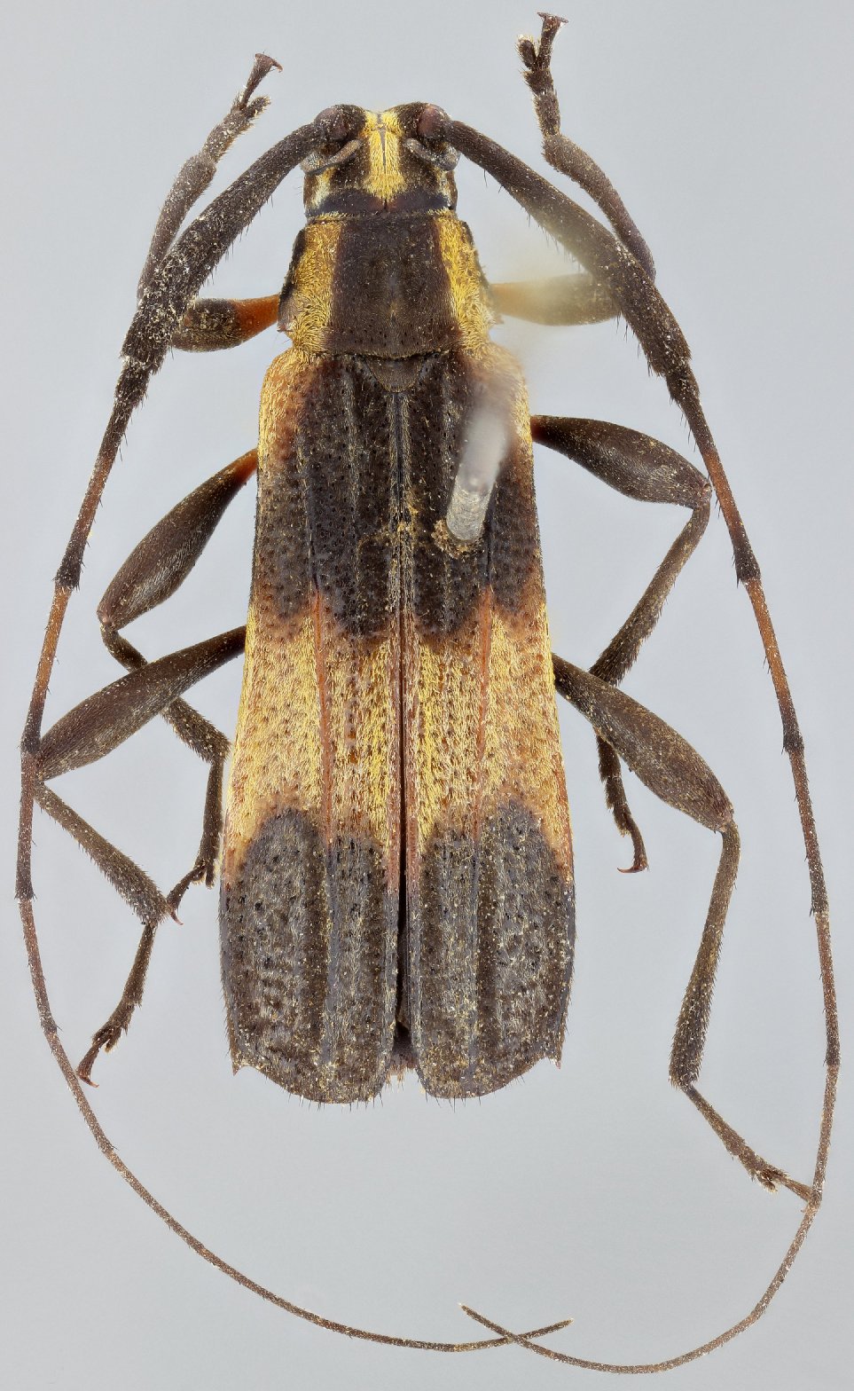
_(Bates)_SS.jpg)
Sex: m Photographer: Antonio Santos-Silva 66000
|
_(Bates)_SS.jpg)
Sex: m Photographer: Antonio Santos-Silva 66001
|
_(Bates)_SS.jpg)
Sex: m Photographer: Antonio Santos-Silva 66002
|
_(Bates)_SS.jpg)
Sex: m Photographer: Antonio Santos-Silva 66003
|