
Institution: NMNH United States National Museum, Washington, DC, USA Photographer: Larry G. Bezark Determiner: Wappes Collection Location: Minas Gerais, Brazil 26541
|

Institution: NMNH United States National Museum, Washington, DC, USA Photographer: Larry G. Bezark Determiner: Wappes Collection Location: Minas Gerais, Brazil 26542
|

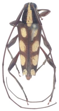
Institution: NMNH United States National Museum, Washington, DC, USA Photographer: Larry G. Bezark Determiner: Tippmann Collection Location: Jabaquara, Sao Paolo, Brazil 26543
|

27528
|
|