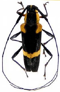
_Monne_MNRJ_SWL.jpg)
Specimen Type: holotype Institution: MNRJ Museu Nacional Universidade do Rio Janeiro, Brazil Photographer: Steve Lingafelter 13093
|
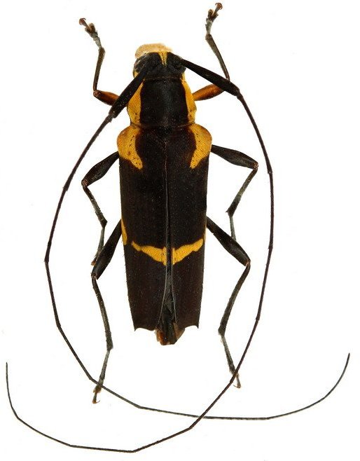
.jpg)
Institution: FTH Frank T. Hovore collection (now at California Academy of Sciences) Photographer: Larry G. Bezark Collection Location: km1 Napo-Galeras road, Napo Province, Ecuador 28318
|
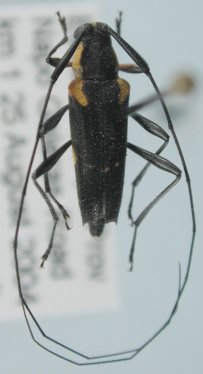
.jpg)
Institution: FTH Frank T. Hovore collection (now at California Academy of Sciences) Photographer: Larry G. Bezark Collection Location: km1 Napo-Galeras road, Napo Province, Ecuador 28319
|
 Monne Montagne de Chevaux, Roura, French Guiana Robin.jpg)
Sex: f Photographer: Frédéric Robin Collection Location: Montagne de Chevaux, Roura, French Guiana 29332
|

Photographer: Odette Morvan Collection Location: Kaw, French Guiana 25220
|

Photographer: Jean-Louis Giuglaris Collection Location: Kaw, French Guiana 68113
|