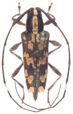
 Bates MNHN Bahia or RS, Brazil now Sang Moure.jpg)
Synchyzopus duplex Bates Specimen Type: syntype Institution: MNHN Museum of Natural History Paris, France Photographer: JS Moure Collection Location: Bahia or Rio Grande do Sul, Brazil 100461
|
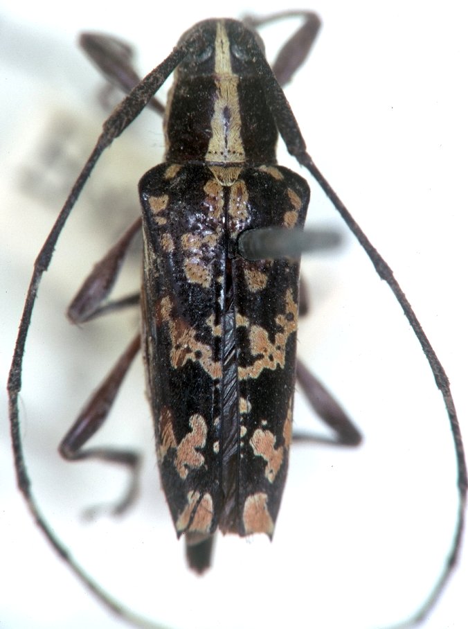
_Bates_MNHN_FTH_=_Sangaris.jpg)
Synchyzopus duplex Bates Specimen Type: syntype Institution: MNHN Museum of Natural History Paris, France Photographer: Frank T. Hovore Collection Location: Bahia or Rio Grande do Sul, Brazil 18666
|
_UCB.jpg)
Institution: UCB Essig Museum of Entomology, Berkeley, California, USA Photographer: Larry G. Bezark 13089
|
_Monne_and_Monne.jpg)
27523
|
|