 Dalman NHRS Brasilia, Brazil Moure.jpg)
Specimen Type: holotype Sex: m Institution: NHRS Naturhistoriska Riksmuseet, Stockholm, Sweden Photographer: JS Moure Collection Location: Brazil 100432
|
 Dalman NHRS Brasilia, Brazil Moure.jpg)
Specimen Type: holotype Sex: m Institution: NHRS Naturhistoriska Riksmuseet, Stockholm, Sweden Photographer: JS Moure Collection Location: Brazil 100431
|

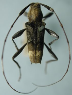
Institution: BMNH British Museum Natural History, London, UK Photographer: Larry G. Bezark 47300
|

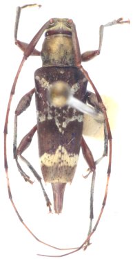
Institution: UCB Essig Museum of Entomology, Berkeley, California, USA Photographer: Larry G. Bezark Determiner: Chemsak Collection Location: Linhares, Brazil 13087
|

27522
|
|