New Search Family, Subfamily and Tribe List

SubFamily Lamiinae

Tribe Colobotheini
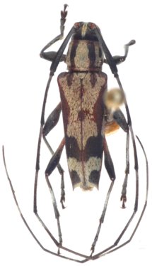
Sangaris albida Monné 1993

Specimen Type: holotype
Institution: MNRJ Museu Nacional Universidade do Rio Janeiro, Brazil
Photographer: Steve Lingafelter
13086


Specimen Type: holotype
Sex: m
Institution: MNRJ Museu Nacional Universidade do Rio Janeiro, Brazil
23809


27521

130425