_Monne_and_Martins_MNRJ_SWL.jpg)
Specimen Type: holotype Institution: MNRJ Museu Nacional Universidade do Rio Janeiro, Brazil Photographer: Steve Lingafelter 8447
|
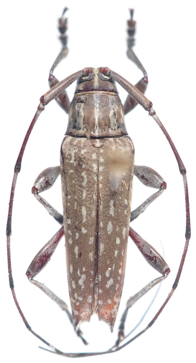
_Monne_and_Martins_Serra_do_Caraca_Minas_Gerais_Brazil_Rev_Bras_Biol_1979.jpg)
Specimen Type: paratype Sex: f Collection Location: Serra do Caraca, Minas Gerais, Brazil 21983
|

Institution: MNRJ Museu Nacional Universidade do Rio Janeiro, Brazil Photographer: Marcela Monne Collection Location: Serro do Caraca, Minas Gerais, Brazil 62317
|
|