 Bates MNHN Brazil Moure.jpg)
Specimen Type: holotype Sex: f Institution: MNHN Museum of Natural History Paris, France Photographer: JS Moure Collection Location: Brazil 95628
|
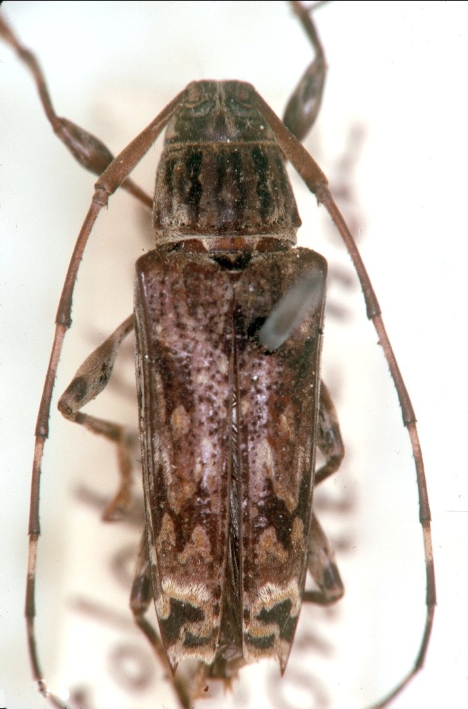
_Bates_MNHN_FTH.jpg)
Specimen Type: holotype Sex: f Institution: MNHN Museum of Natural History Paris, France Photographer: Frank T. Hovore Collection Location: Brazil 15827
|