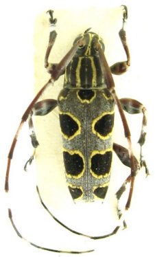
_Zajciw_MNRJ_SWL.jpg)
Specimen Type: holotype Institution: MNRJ Museu Nacional Universidade do Rio Janeiro, Brazil Photographer: Steve Lingafelter 5933
|

Photographer: Jean-Louis Giuglaris Collection Location: Belizon, French Guiana 28656
|

Institution: FTH Frank T. Hovore collection (now at California Academy of Sciences) Photographer: Larry G. Bezark Determiner: near this taxa Collection Location: Pastaza, Ecuador 25291
|

Institution: FTH Frank T. Hovore collection (now at California Academy of Sciences) Photographer: Larry G. Bezark Determiner: near this taxa Collection Location: Pastaza, Ecuador 25292
|

Photographer: Odette Morvan Collection Location: French Guiana 39976
|
.jpg)
Institution: FTH Frank T. Hovore collection (now at California Academy of Sciences) Photographer: Larry G. Bezark Collection Location: road to Kaw r-40, French Guiana 28113
|
.jpg)
Institution: FTH Frank T. Hovore collection (now at California Academy of Sciences) Photographer: Larry G. Bezark Collection Location: road to Kaw r-40, French Guiana 28114
|