 Bates MNHN Obidos, Para, Brazil Moure.jpg)
Specimen Type: syntype Sex: m Institution: MNHN Museum of Natural History Paris, France Photographer: JS Moure Collection Location: Obidos, Para, Brazil 95594
|
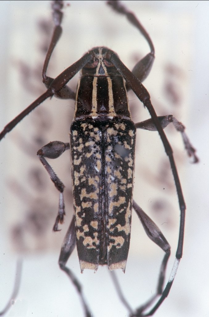
_Bates_MNHN_FTH.jpg)
Specimen Type: syntype Institution: MNHN Museum of Natural History Paris, France Photographer: Frank T. Hovore Collection Location: Obidos, Para, Brazil 15808
|