 Audureau Coll Aguazul, Casanare, Colombia.jpg)
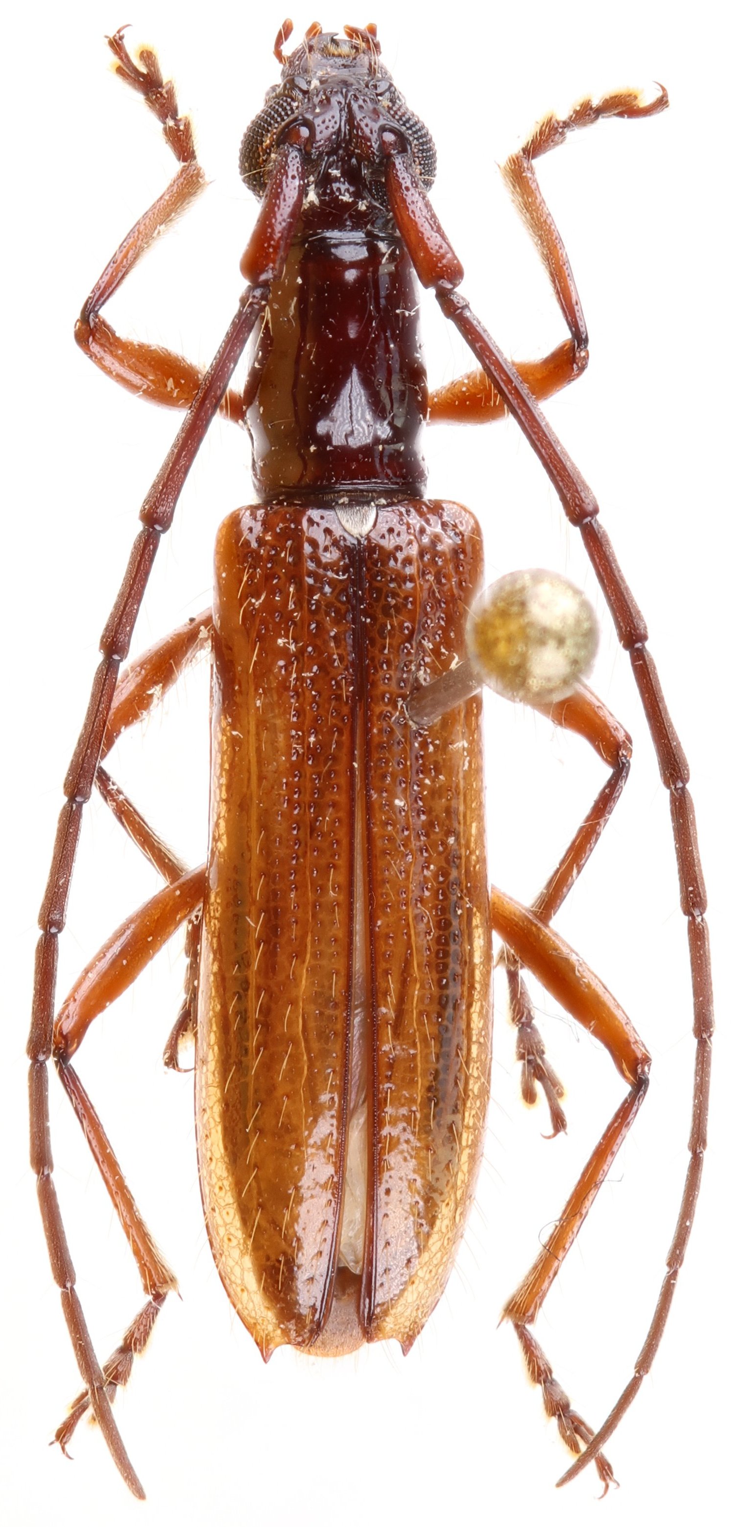
Specimen Type: holotype Sex: f Institution: Audureau Collection Photographer: Alain Audureau Collection Location: Aguazul, Casanare, Colombia 100786
|
 Audureau Coll Aguazul, Casanare, Colombia.jpg)
Specimen Type: holotype Sex: f Institution: Audureau Collection Photographer: Alain Audureau Collection Location: Aguazul, Casanare, Colombia 100787
|