 Bates MNHN Sao Paolo de Olivenca, Amazonas, Brazil Moure.jpg)
Specimen Type: syntype Sex: m Institution: MNHN Museum of Natural History Paris, France Photographer: JS Moure Collection Location: Sao Paulo de Olivenca, Amazonas, Brazil 15792
|
 Bates MNHN Sao Paulo de Olivenca, Amazonas, Brazil Moure.jpg)
Specimen Type: syntype Sex: m Institution: MNHN Museum of Natural History Paris, France Photographer: JS Moure Collection Location: Sao Paulo de Olivenca, Amazonas, Brazil 89225
|
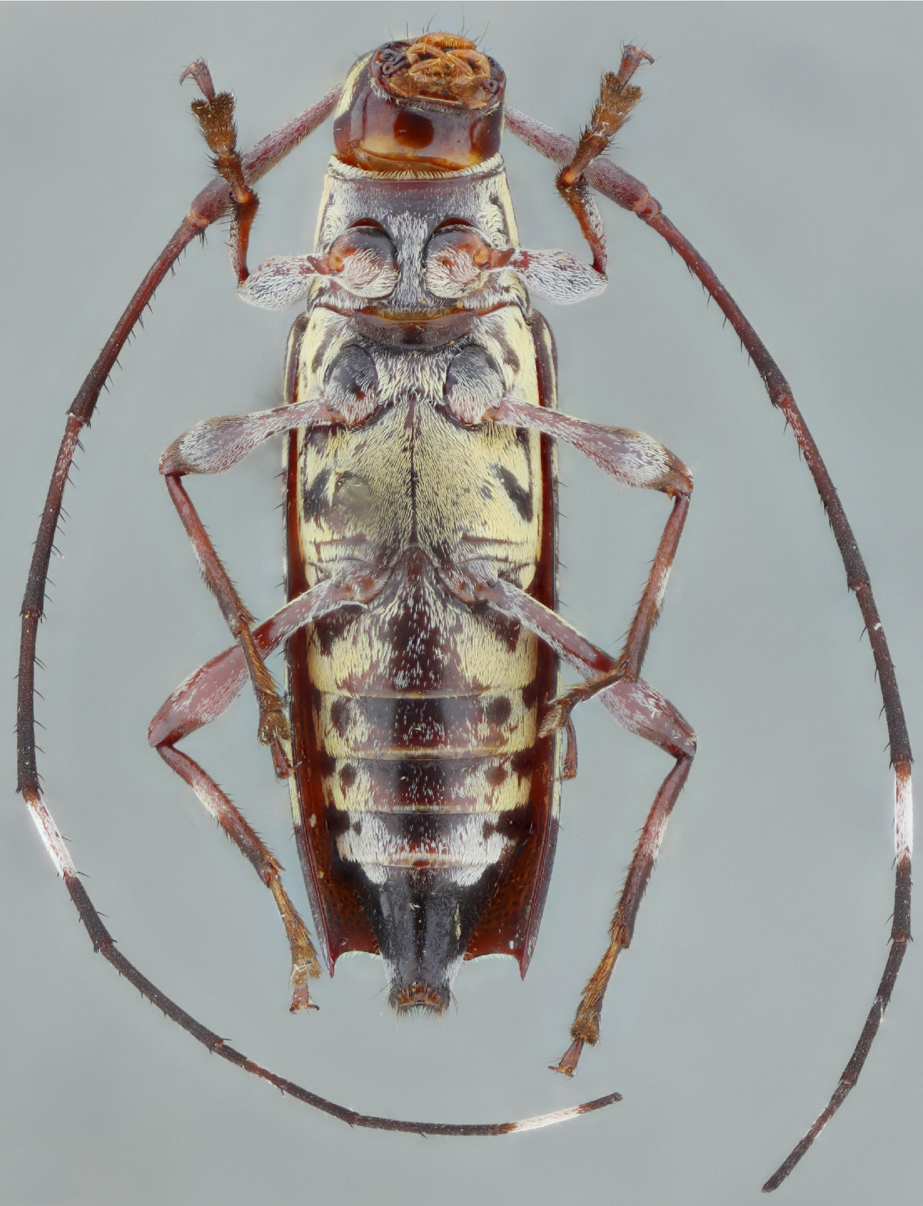
 Bates MZSP Benjamin Constant, Amazonas, Brazil SS.jpg)
Sex: f Institution: MZSP Museu de Zoologia da Universidade de São Paulo, Brazil Photographer: Antonio Santos-Silva Collection Location: Benjamin Constant, Amazonas, Brazil 89226
|
 Bates MZSP Ecuador SS.jpg)
Sex: f Institution: MZSP Museu de Zoologia da Universidade de São Paulo, Brazil Photographer: Antonio Santos-Silva Collection Location: Benjamin Constant, Amazonas, Brazil 89227
|
 Bates MZSP Ecuador SS.jpg)
Sex: f Institution: MZSP Museu de Zoologia da Universidade de São Paulo, Brazil Photographer: Antonio Santos-Silva Collection Location: Benjamin Constant, Amazonas, Brazil 89228
|
 Bates MZSP Ecuador SS.jpg)
Sex: f Institution: MZSP Museu de Zoologia da Universidade de São Paulo, Brazil Photographer: Antonio Santos-Silva Collection Location: Benjamin Constant, Amazonas, Brazil 89229
|
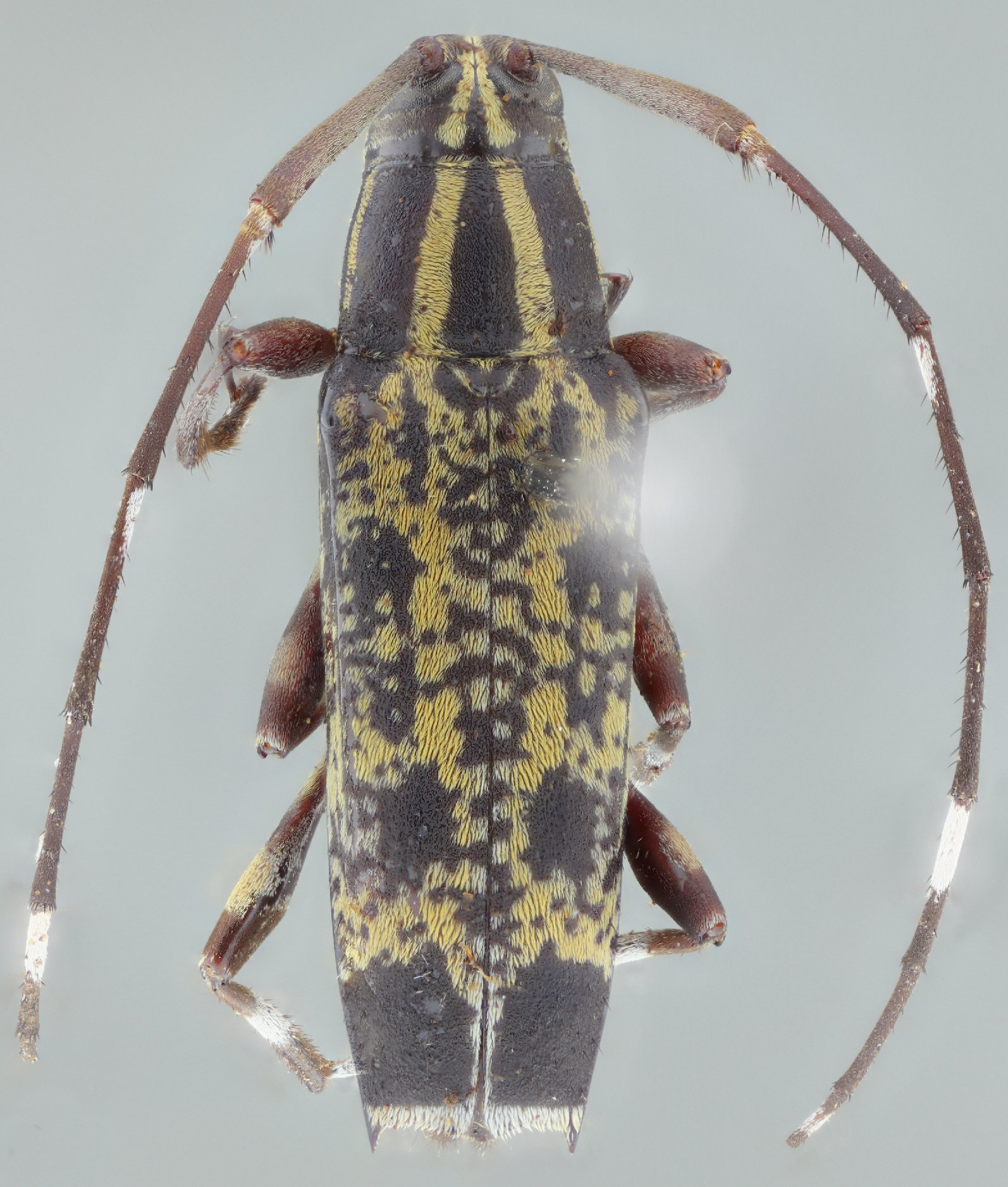
 Bates MZSP Benjamin Constant, Amazonas, Brazil SS.jpg)
Sex: m Institution: MZSP Museu de Zoologia da Universidade de São Paulo, Brazil Photographer: Antonio Santos-Silva Collection Location: Benjamin Constant, Amazonas, Brazil 89230
|
 Bates MZSP Benjamin Constant, Amazonas, Brazil SS.jpg)
Sex: m Institution: MZSP Museu de Zoologia da Universidade de São Paulo, Brazil Photographer: Antonio Santos-Silva Collection Location: Benjamin Constant, Amazonas, Brazil 89231
|
 Bates MZSP Benjamin Constant, Amazonas, Brazil SS.jpg)
Sex: m Institution: MZSP Museu de Zoologia da Universidade de São Paulo, Brazil Photographer: Antonio Santos-Silva Collection Location: Benjamin Constant, Amazonas, Brazil 89232
|
 Bates MZSP Benjamin Constant, Amazonas, Brazil SS.jpg)
Sex: m Institution: MZSP Museu de Zoologia da Universidade de São Paulo, Brazil Photographer: Antonio Santos-Silva Collection Location: Benjamin Constant, Amazonas, Brazil 89233
|
|