New Search Family, Subfamily and Tribe List

SubFamily Lamiinae

Tribe Colobotheini
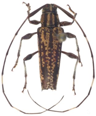
Sangaris obtusicarinata (Zajciw, 1962)

Colobothea obtusicarinata Zajciw
Specimen Type: holotype
Institution: MNRJ Museu Nacional Universidade do Rio Janeiro, Brazil
Photographer: Steve Lingafelter
5907


27527

130425