 Auriv NHRS Cayenne, French Guiana Moure.jpg)
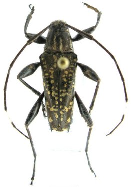
Specimen Type: holotype Sex: f Institution: NHRS Naturhistoriska Riksmuseet, Stockholm, Sweden Photographer: JS Moure Collection Location: Cayenne, French Guiana 95582
|
 Auriv NHRS Cayenne, French Guiana Moure.jpg)
Specimen Type: holotype Sex: f Institution: NHRS Naturhistoriska Riksmuseet, Stockholm, Sweden Photographer: JS Moure Collection Location: Cayenne, French Guiana 95583
|

Specimen Type: holotype Sex: f Institution: NHRS Naturhistoriska Riksmuseet, Stockholm, Sweden Collection Location: French Guiana 30821
|

Photographer: Denis Faure Collection Location: French Guiana 21768
|

Photographer: Odette Morvan Collection Location: French Guiana 39974
|

Photographer: Jean-Louis Giuglaris Collection Location: Belizon, French Guiana 28654
|
|