 Bates MNHN Amazonas or Para, Brazil now macularis Moure.jpg)
Colobothea velutina Bates Specimen Type: syntype Institution: MNHN Museum of Natural History Paris, France Photographer: JS Moure Collection Location: Amazonas or Para, Brazil 95630
|
_Bates_BMNH_Hespenheide_FTH_=_Colobothea_macularis_(Olivier).jpg)
Colobothea velutina Bates Specimen Type: syntype Institution: BMNH British Museum Natural History, London, UK Photographer: Henry Hespenheide Collection Location: Amazonas or Para, Brazil 15838
|
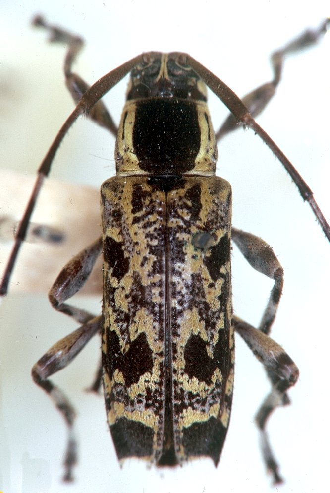
_LGB.jpg)
Institution: LGBC Larry G. Bezark Collection, Sacramento, California, USA Photographer: Larry G. Bezark Collection Location: 62 km S. Ariquemes, Rondonia, Brazil 20168
|
.jpg)
Institution: FTH Frank T. Hovore collection (now at California Academy of Sciences) Photographer: Larry G. Bezark Collection Location: 2km NE Ahuano, Napo Province, Ecuador 28107
|
.jpg)
Institution: FTH Frank T. Hovore collection (now at California Academy of Sciences) Photographer: Larry G. Bezark Collection Location: 2km NE Ahuano, Napo Province, Ecuador 28108
|
_Napo_Prov_Ecuador_LGB.jpg)
Photographer: Larry G. Bezark Collection Location: Napo Province, Ecuador 692
|
_(as_velutina_Bates)_Bolivia_Wappes_Photo.jpg)
Photographer: Jim Wappes Collection Location: (as velutina Bates) Bolivia 5894
|
_Det_Giesbert_CAS.jpg)
Institution: CAS California Academy of Sciences, San Francisco, CA, USA Photographer: Larry G. Bezark Determiner: Giesbert 5896
|
_Faure_French_Guiana.jpg)
Photographer: Denis Faure Collection Location: French Guiana 21765
|
_(Olivier)_Zootaxa.jpg)
Sex: f Determiner: Zootaxa 29538
|