New Search Family, Subfamily and Tribe List

SubFamily Lamiinae

Tribe Colobotheini
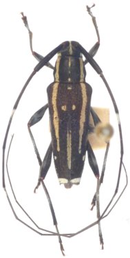
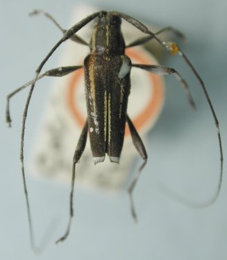
Sangaris luctuosa (Pascoe, 1859)

Colobothea luctuosa Pascoe
Specimen Type: holotype
Sex: m
Institution: BMNH British Museum Natural History, London, UK
Photographer: Larry G. Bezark
Collection Location: Ega, Amazonas, Brazil
46549


27525

130425