 Bates BMNH Banks of Tapajos River, Para, Brazil Moure.jpg)
Specimen Type: syntype Institution: BMNH British Museum Natural History, London, UK Photographer: JS Moure Collection Location: Banks of Tapajos River, Para, Brazil 15752
|
 Bates MNHN Banks of Tapajos River, Para, Brazil Moure.jpg)
Specimen Type: syntype Institution: MNHN Museum of Natural History Paris, France Photographer: JS Moure Collection Location: Banks of Tapajos River, Para, Brazil 15754
|
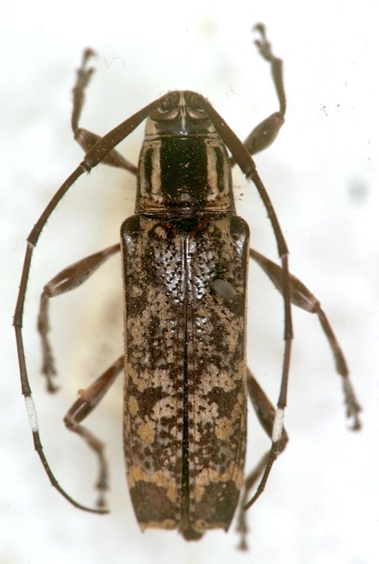
_Bates_MNHN_FTH.jpg)
Specimen Type: syntype Institution: MNHN Museum of Natural History Paris, France Collection Location: Banks of Tapajos River, Para, Brazil 15753
|

Photographer: Denis Faure Collection Location: French Guiana 21761
|

Institution: FTH Frank T. Hovore collection (now at California Academy of Sciences) Photographer: Larry G. Bezark Collection Location: French Guiana 5879
|
|