New Search Family, Subfamily and Tribe List

SubFamily Lamiinae

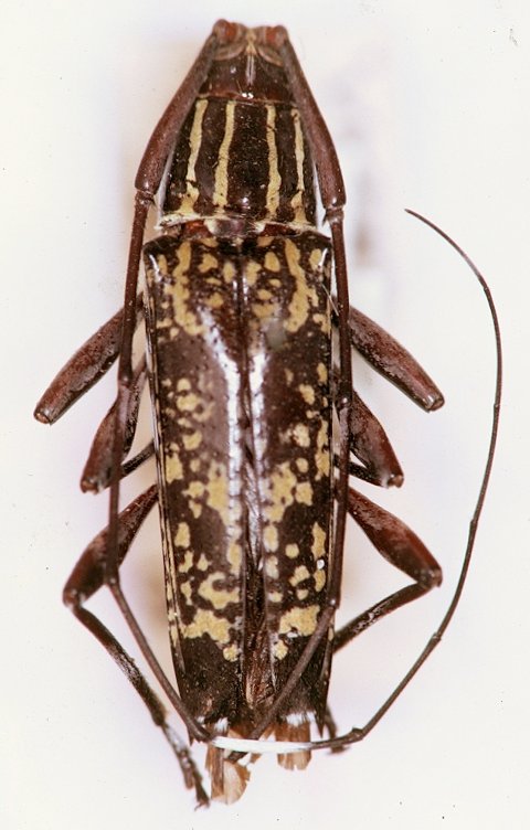
Tribe Colobotheini
Colobothea eximia Aurivillius 1902

Specimen Type: syntype
Institution: NHRS Naturhistoriska Riksmuseet, Stockholm, Sweden
Photographer: JS Moure
Collection Location: Colombia
95570


Photographer: Antonio Santos-Silva
Collection Location: Uiramuta, Serro do Sol, Roraima, Brazil
95276


Institution: FTH Frank T. Hovore collection (now at California Academy of Sciences)
Photographer: Larry G. Bezark
Collection Location: French Guiana
5876

130425