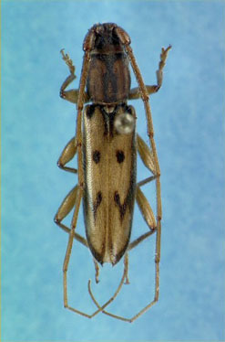
 Bates MNHN Santo Domingo, Chontales, Nicaragua now sur Moure.jpg)
Specimen Type: syntype Institution: MNHN Museum of Natural History Paris, France Photographer: JS Moure Collection Location: Santo Domingo, Chontales, Nicaragua 75864
|
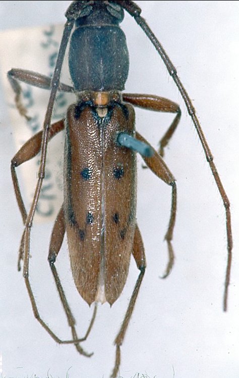
 Fabr ZMUC Cayenne, French Guiana now Achry surinam Moure.jpg)
Stenocorus circumflexus Fabricius Specimen Type: syntype Institution: ZMUC University of Copenhagen, Zoological Museum, København, Denmark Photographer: JS Moure Collection Location: Cayenne, French Guiana 102037
|
 Fabr ZMUC Cayenne, French Guiana now Achry surinam Moure.jpg)
Stenocorus circumflexus Fabricius Specimen Type: syntype Institution: ZMUC University of Copenhagen, Zoological Museum, København, Denmark Photographer: JS Moure Collection Location: Cayenne, French Guiana 102038
|
 Fabr ZMUC South America now Achry surinam Moure.jpg)
Stenocorus pallens Fabricius Specimen Type: holotype Sex: m Institution: ZMUC University of Copenhagen, Zoological Museum, København, Denmark Photographer: JS Moure Collection Location: South America 102039
|
_FSCA.jpg)
Institution: FSCA Florida State Collection of Arthropods, Gainesville, FL, USA Photographer: Mike Thomas 29
|
_LGB.jpg)
Photographer: Larry G. Bezark 30
|
_Bolivia_Wappes_Photo.jpg)
Photographer: Jim Wappes Collection Location: Bolivia 3696
|
_Jamaica_Cahiers.jpg)
Determiner: Les Cahiers Magellanes Collection Location: Jamaica 3698
|
|