New Search Family, Subfamily and Tribe List

SubFamily Lamiinae

Tribe Colobotheini
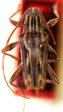
Colobothea andina Monné 1993

Specimen Type: holotype
Sex: f
Institution: MNRJ Museu Nacional Universidade do Rio Janeiro, Brazil
Photographer: Steve Lingafelter
5837


Specimen Type: holotype
Sex: f
Institution: MNRJ Museu Nacional Universidade do Rio Janeiro, Brazil
21751

130425