 MNHN Belon Cochabamba, Bolivia now Piriana Moure.jpg)
Carterica tricuspis Belon Specimen Type: syntype Institution: MNHN Museum of Natural History Paris, France Photographer: JS Moure Collection Location: Cochabamba, Bolivia 15511
|
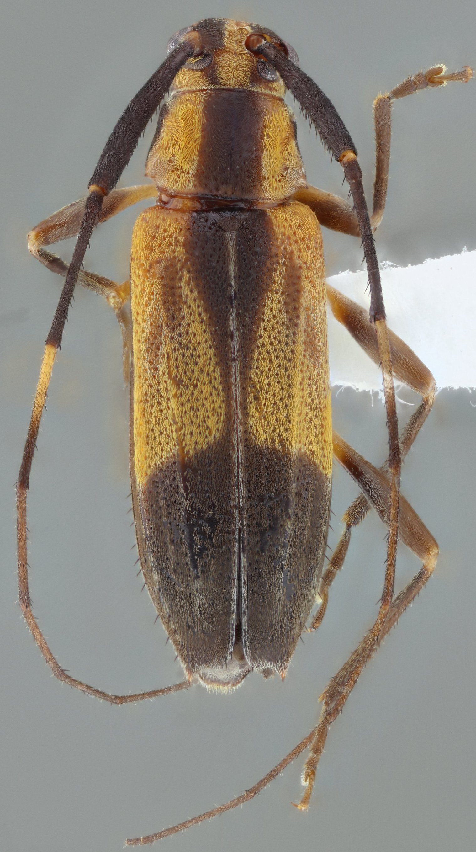
 Belon MZSP Santa Cruz, Bolivia SS.jpg)
Sex: m Institution: MZSP Museu de Zoologia da Universidade de São Paulo, Brazil Photographer: Antonio Santos-Silva Collection Location: Santa Cruz, Bolivia 81128
|
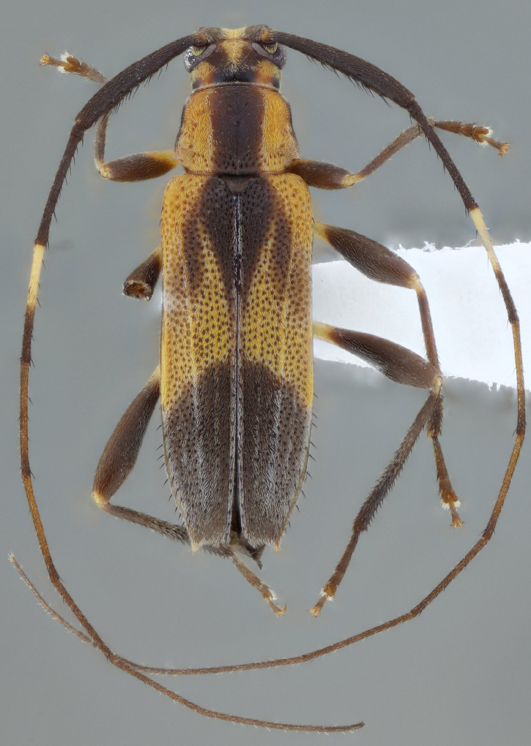
 Belon MZSP Santa Cruz, Bolivia SS.jpg)
Sex: m Institution: MZSP Museu de Zoologia da Universidade de São Paulo, Brazil Photographer: Antonio Santos-Silva Collection Location: Santa Cruz, Bolivia 81129
|
 Belon MZSP Santa Cruz, Bolivia SS.jpg)
Sex: f Institution: MZSP Museu de Zoologia da Universidade de São Paulo, Brazil Photographer: Antonio Santos-Silva Collection Location: Santa Cruz, Bolivia 81130
|

Institution: MNRJ Museu Nacional Universidade do Rio Janeiro, Brazil Photographer: Steve Lingafelter 5421
|
|