_Belon_MNHN_FTH.jpg)
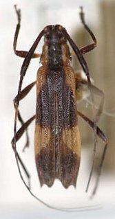
Carterica soror Belon Specimen Type: holotype Institution: MNHN Museum of Natural History Paris, France Collection Location: Cochabamba, Bolivia 15510
|
 Belon MNHN Cochabamba, Bolivia now Confluent Moure.jpg)
Carterica soror Belon Specimen Type: holotype Institution: MNHN Museum of Natural History Paris, France Photographer: JS Moure Collection Location: Cochabamba, Bolivia 95553
|