_Belon_MNHN_FTH.jpg)
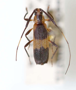
Carterica mima Belon Specimen Type: syntype Institution: MNHN Museum of Natural History Paris, France Collection Location: Cochabamba, Bolivia 15508
|

Photographer: Jim Wappes Collection Location: Bolivia 5412
|

Institution: MNRJ Museu Nacional Universidade do Rio Janeiro, Brazil Photographer: Steve Lingafelter 5413
|
|