 Bates MNHN Tefe (Ega), Amazonas, Brazil now Piriana Moure.jpg)
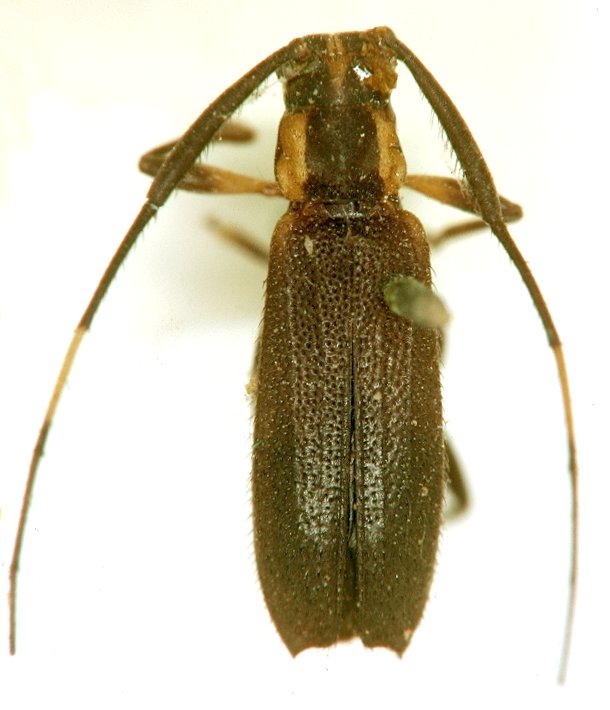
Carterica cincticornis Bates Specimen Type: syntype Institution: MNHN Museum of Natural History Paris, France Photographer: JS Moure Collection Location: Tefe (Ega), Amazonas, Brazil 95549
|
_Bates_MNHN_FTH.jpg)
Carterica cincticornis Bates Specimen Type: syntype Institution: MNHN Museum of Natural History Paris, France Collection Location: Tefé (originally Ega), Amazonas, Brazil 15507
|