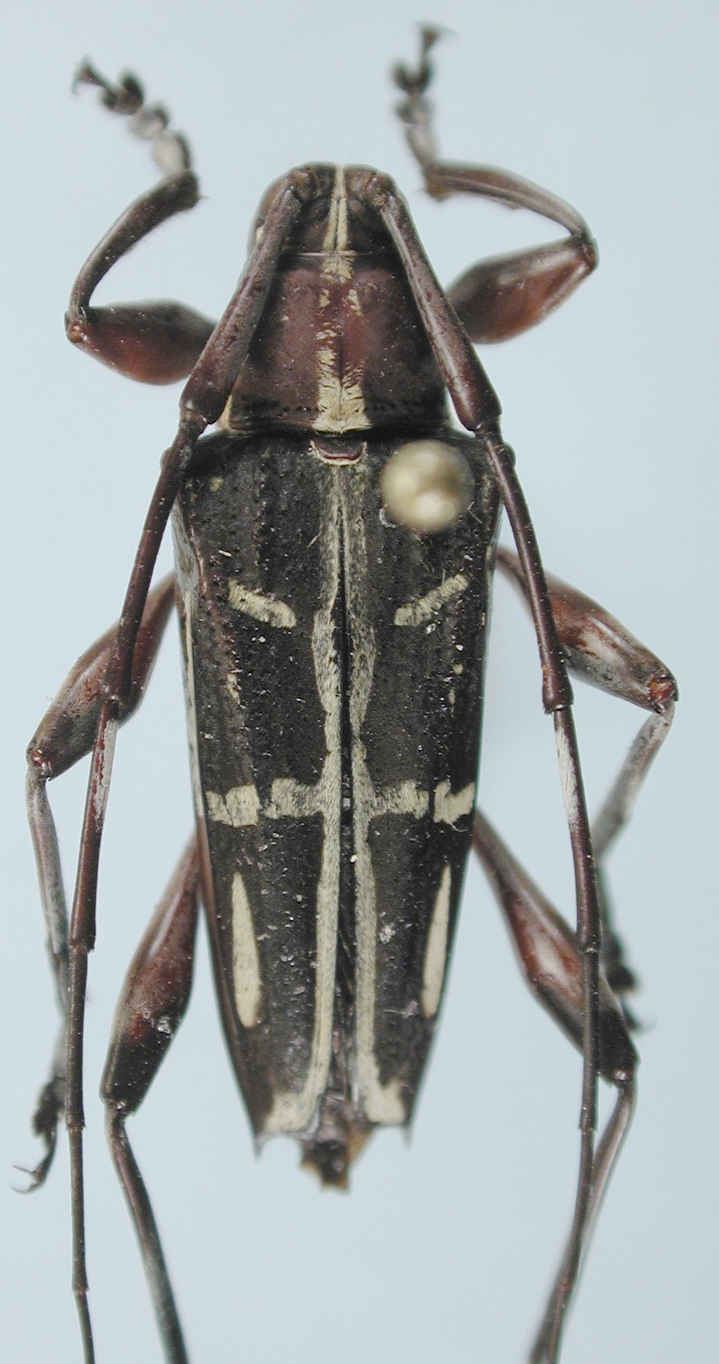
 Gahan BMNH Cuenca, Ecuador or Nauta, Peru Moure.jpg)
Specimen Type: syntype Institution: BMNH British Museum Natural History, London, UK Photographer: JS Moure Collection Location: Cuenca, Ecuador or Nauta, Peru 95546
|

Colobothea crucigera Aurivillius Specimen Type: holotype Sex: m Institution: NHRS Naturhistoriska Riksmuseet, Stockholm, Sweden Collection Location: Bolivia 30818
|
_Aurivillius_NHRS_FTH_=_Carneades_vittata_Gahan.jpg)
Colobothea crucigera Aurivillius Specimen Type: holotype Institution: NHRS Naturhistoriska Riksmuseet, Stockholm, Sweden Collection Location: Bolivia 15732
|
_Aurivillius_NHRS_FTH_=_Carneades_vittata_Gahan.jpg)
Colobothea crucigera var amazonica Aurivillius Specimen Type: holotype Institution: NHRS Naturhistoriska Riksmuseet, Stockholm, Sweden Collection Location: Brazil 15733
|
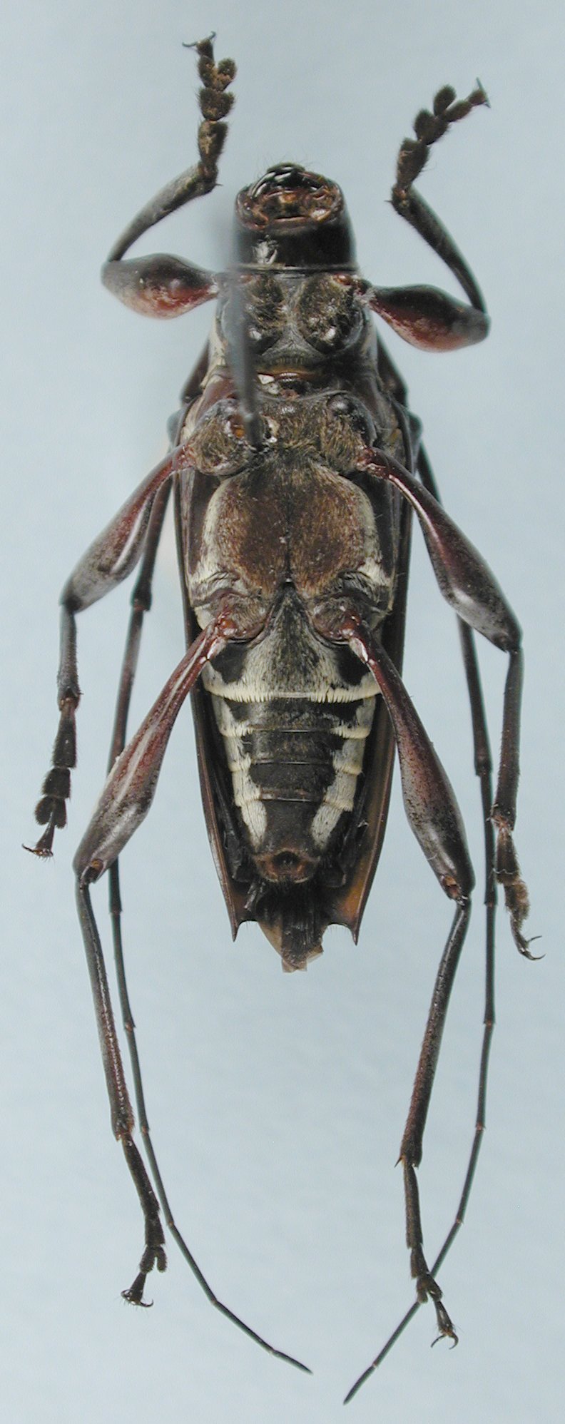
_Gahan_BMNH_Cuenca_EC_or_Nauta_Peru_LGB.jpg)
Specimen Type: lectotype Institution: BMNH British Museum Natural History, London, UK Photographer: Larry G. Bezark Collection Location: Cuenca, Ecuador or Nauta, Peru 46474
|

Institution: LGBC Larry G. Bezark Collection, Sacramento, California, USA Photographer: Larry G. Bezark Collection Location: Piura, Peru 95603
|

Institution: LGBC Larry G. Bezark Collection, Sacramento, California, USA Photographer: Larry G. Bezark Collection Location: Piura, Peru 95604
|

Photographer: Jim Wappes Collection Location: Bolivia 5392
|

Institution: CAS California Academy of Sciences, San Francisco, CA, USA Photographer: Larry G. Bezark 5393
|

Institution: FTH Frank T. Hovore collection (now at California Academy of Sciences) Photographer: Larry G. Bezark 5394
|
|