_Btes_MNHN_Frontino_Cali_Colombia_Miguel_photo.jpg)
Carneades reticulata Bates Specimen Type: syntype Institution: MNHN Museum of Natural History Paris, France Photographer: Miguel Monne 28463
|
 Bates BMNH Frontino, Cali, Colombia now Lophobothea Moure.jpg)
Colobothea reticulata Bates Specimen Type: syntype? Institution: BMNH British Museum Natural History, London, UK Photographer: JS Moure Collection Location: Frontino, Cali, Colombia 95545
|

Institution: BMNH British Museum Natural History, London, UK Photographer: Henry Hespenheide Collection Location: Colombia 15495
|
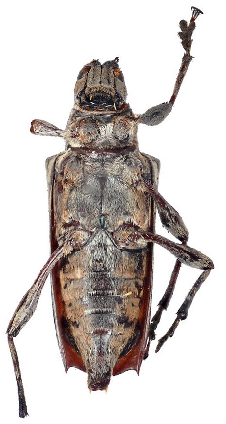
_(Bates)_IRSNB_San_Antonio_Colombia_Monne_pic.jpg)
Sex: f Institution: IRSNB Royal Belgian Institute of Natural Sciences, Brussels, Belgium Photographer: Monne Collection Location: San Antonio, Colombia 64889
|
_(Bates)_IRSNB_San_Antonio_Colombia_Monne_pic.jpg)
Sex: f Institution: IRSNB Royal Belgian Institute of Natural Sciences, Brussels, Belgium Photographer: Monne Collection Location: San Antonio, Colombia 64890
|
_(Bates)_IRSNB_San_Antonio_Colombia_Monne_pic.jpg)
Sex: f Institution: IRSNB Royal Belgian Institute of Natural Sciences, Brussels, Belgium Photographer: Monne Collection Location: San Antonio, Colombia 64891
|
|