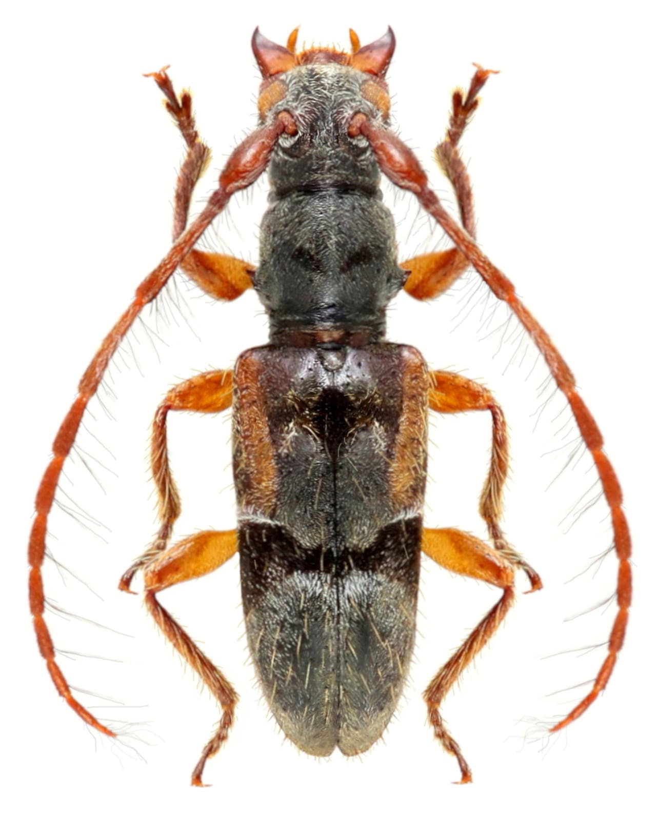
_Lane_MNRJ_SWL.jpg)
Acanthomerosternoplon foxi Lane Specimen Type: paratype Sex: f Institution: MNRJ Museu Nacional Universidade do Rio Janeiro, Brazil Photographer: Steve Lingafelter Collection Location: Santarem, Para, Brazil 11174
|
 (Lane) Mount Itoupe, French Guiana Robin.jpg)
Sex: m Photographer: Frédéric Robin Collection Location: Mount Itoupe, French Guiana 79336
|